
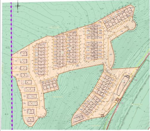
Коттеджный поселок планируется построить в районе деревни Кузнечиха в Нижнем Новгороде. Проект планировки и межевания участка утвердил региональный Минград. Соответствующий приказ опубликован на сайте профильного ведомства.
Документация разработана на участок в Советском районе площадью 99,69 га, из которых 3 га отведены под возведение жилых домов и таунхаусов. Из приказа ведомства следует, что поселок должен появиться до 2035 года. Как пишет GIPERNN.RU со ссылкой на застройщика ГК «Евродом», работы планируется выполнить в течение трех лет.
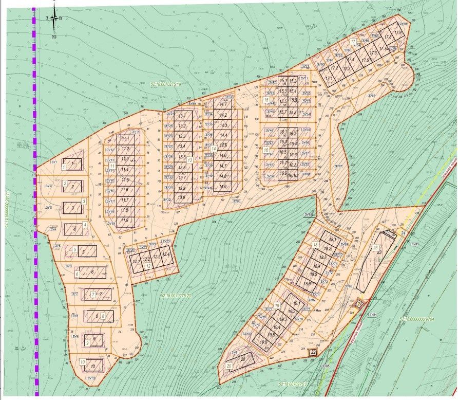
Проекты был подготовлен ООО «Геопроект-НН» по заказу Романа Гурьянова. Согласно документам, новый коттеджный поселок будет включать в себя около 70 объектов блокированной застройки и 11 индивидуальных жилых домов. Постройки будут трехэтажные площадью от 212 до 426 квадратных метров. В поселке появится двухэтажный магазин, автостоянка на 12 машиномест, детские и спортивные площадки и зоны отдыха.
Строительство будет выполнятся в одну очередь. Перед началом масштабных работ специалисты проведут комплекс мероприятий, направленных на сохранение выявленного объекта археологического наследия «Нижний Новгород. Кузнечиха. Селище-4 (селище Кузнечиха-4)», датируемый XIII–XVII веками.
Жильцы будущего поселка смогут воспользоваться детским садом, рассчитанным на 320 воспитанников, который войдет в состав ЖК «Цветы 2». Кроме того, дальнейшее образование дети могут получить в уже существующей школе на 800 мест в районе деревни Кузнечиха.
Ранее мы сообщали о том, что утверждена планировка под гостиницу на месте «Книжного Новгорода».
Самые интересные и срочные новости читайте в «В городе N»







